Myydään tontti - Helsinki
Kirkonkyläntie 37, Ylä-Malmi, 00700 Helsinki #10854256
Myydään kiinteistökehitystontti asuinrakentamiseen Helsingin Malmilla!
Osoite
Kirkonkyläntie 37, 00700 Helsinki
Tilatyyppi
Tontti
2610 m2
Virtuaaliesittely
Myyntihinta
Tarjousten perusteella
Muuta
Todella hyvällä paikalla tontti, jonka kaavamuutos asuinkäyttöön on käynnistetty (myydään niin, että kaavamuutos on lainvoimainen). Ostaja pääsee vielä tarvittaessa vaikuttamaan kaavan yksityiskohtiin. Tontti täyttää Helsingin kaupungin AM-ohjelman kriteerit.
Kaupan kohteena on kiinteistöyhtiön (Y-tunnus 2660881–5) osakekanta, mikä myydään velattomana.
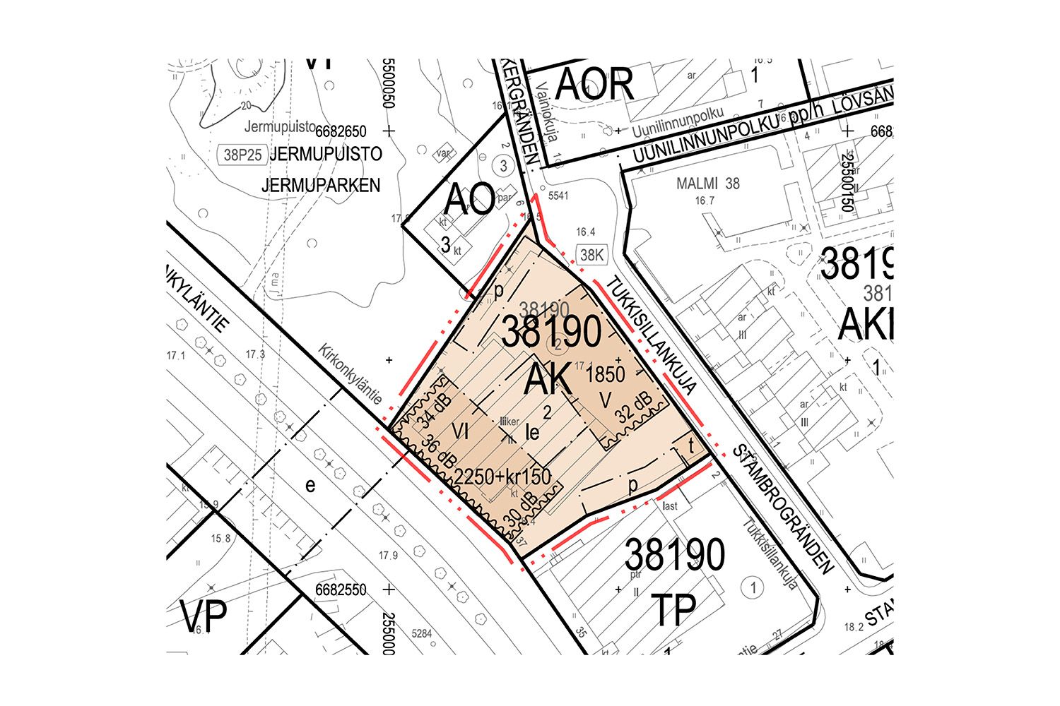
Tontin pinta-ala on 2610 m² ja asuinrakennusoikeus tontille on 4680 m² (Bruttokerrosalaa). Tontin yksi reuna rajoittuu viereiseen Jermupuistoon ja yksi Kirkonkyläntielle ja muut kaksi viereisiin tontteihin. Tontilla on purettava vanha kivirakenteinen liiketalo, minkä purkukuluista vastaa ostaja. Lisäksi kaavoitusmaksusta vastaa ostaja, joka on arviolta noin 680’000 €. PIMA-tutkimus on tehty ja tontti on puhdas.
Kohde myydään tarjousten perusteella (myyjällä on oikeus hyväksyä/hylätä saadut tarjoukset). Ilmoituksessa olevat kuvat ovat julkisia havainnekuvia.
Hyvällä sijainnilla ja lähellä Malmin palveluja. Kohteen läheisyyteen Kirkonkyläntielle on lisäksi linjattu Helsingin yleiskaavassa pikaraitiotie Raide-Jokeri 2. Lisäksi Viikin-Malmin pikaraitiotien päätepysäkki tulisi mahdollisesti sijoittumaan kohteen eteläpuolelle Malmin sairaalan kohdalle. Kilometrin päässä on Malmin Prisma ja juna-asema sekä Kehä I liittymään kaksi kilometriä.
Katso kaavamuutoksesta lisää: https://www.hel.fi/hel2/ksv/liitteet/2022_kaava/ak12819_selostus.pdf
Hyvällä sijainnilla ja sujuvien liikenneyhteyksien päässä kiinteistökehitystontti myynnissä!
Kohdetiedot
Sijainti
Katuosoite: Kirkonkyläntie 37, 00700 Helsinki
Kaupunginosa: Malmi
Tontti
Kiinteistötunnus: 91-38-190-2
Pinta-ala: 2’610 m²
Rakennusoikeus: 4680 m² (Bruttokerrosalaa)
Myyntihinta
Myyntihinta: Tarjousten perusteella
Kaupan kohteena on kiinteistöyhtiön (Y-tunnus 2660881–5) osakekanta, mikä myydään velattomana.
Tontin pinta-ala on 2610 m² ja asuinrakennusoikeus tontille on 4680 m² (Bruttokerrosalaa). Tontin yksi reuna rajoittuu viereiseen Jermupuistoon ja yksi Kirkonkyläntielle ja muut kaksi viereisiin tontteihin. Tontilla on purettava vanha kivirakenteinen liiketalo, minkä purkukuluista vastaa ostaja. Lisäksi kaavoitusmaksusta vastaa ostaja, joka on arviolta noin 680’000 €. PIMA-tutkimus on tehty ja tontti on puhdas.
Kohde myydään tarjousten perusteella (myyjällä on oikeus hyväksyä/hylätä saadut tarjoukset). Ilmoituksessa olevat kuvat ovat julkisia havainnekuvia.
Hyvällä sijainnilla ja lähellä Malmin palveluja. Kohteen läheisyyteen Kirkonkyläntielle on lisäksi linjattu Helsingin yleiskaavassa pikaraitiotie Raide-Jokeri 2. Lisäksi Viikin-Malmin pikaraitiotien päätepysäkki tulisi mahdollisesti sijoittumaan kohteen eteläpuolelle Malmin sairaalan kohdalle. Kilometrin päässä on Malmin Prisma ja juna-asema sekä Kehä I liittymään kaksi kilometriä.
Katso kaavamuutoksesta lisää: https://www.hel.fi/hel2/ksv/liitteet/2022_kaava/ak12819_selostus.pdf
Hyvällä sijainnilla ja sujuvien liikenneyhteyksien päässä kiinteistökehitystontti myynnissä!
Kohdetiedot
Sijainti
Katuosoite: Kirkonkyläntie 37, 00700 Helsinki
Kaupunginosa: Malmi
Tontti
Kiinteistötunnus: 91-38-190-2
Pinta-ala: 2’610 m²
Rakennusoikeus: 4680 m² (Bruttokerrosalaa)
Myyntihinta
Myyntihinta: Tarjousten perusteella
Vapautuu
Heti
Näkyvällä paikalla
Ota yhteyttä
Tilat.fi
KTM, LKV Antti Soivio
Näytä puhelinnumero
0400 446 553
OTM, LKV Riikka Tuominen
Näytä puhelinnumero
0400 551 790
KTM, LKV Maria-Sofia Puhakka
Näytä puhelinnumero
0400-150330
MBA, LKV Susanne Wallenius
Näytä puhelinnumero
0400-128877
Yrityksen virallinen nimi: LKV Tilat.fi Oy.
Toimitilojen välitykseen erikoistunut yritys.
Pyydä lisätietoa
