Myydään tuotantotilat, varastotilat - Siikalatva
Muhalantie 8, Piippola, 92620 Siikalatva #10750737
Teollisuushalli 1823m²
Osoite
Muhalantie 8, 92620 Siikalatva
Tilatyyppi
Tuotantotilaa
1823 m2
Varastotilaa
1823 m2
Yhteensä
1823 m2
Myyntihinta
830000
Kiinteistö
Myydään / vuokrataan työkalutehtaaksi rakennettu teollisuuskiinteistö
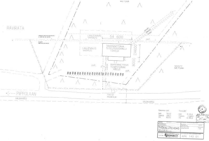
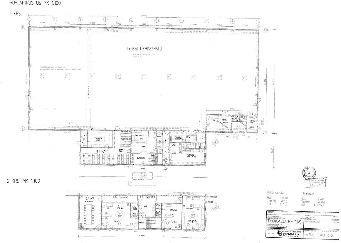
5,4028 ha tontilla on vuonna 2000 valmistunut Ojala-Yhtymän työvälinetehtaaksi rakennettu 1823 m² teollisuushalli. Rakennuksen ympärillä on iso asfaltoitu piha-alue.
Konepajateollisuuden käyttöön suunnitellussa hallissa lattiarakenteet kestävät raskaankin kaluston käytön. 88-tien vieressä sijaitseva halli on betonirunkoinen ja hallissa oleva Konecranes 10 t siltanosturi kuuluu kauppaan.
Tämä nykyaikainen rakennus sisältää tuotanto-, sosiaali- ja varastotiloja sekä työmaaruokalan 1. kerroksessa ja näyttäviä toimisto- ym. aputiloja 2. kerroksessa. Pihalla on toimiston puolella runsaasti parkkipaikkoja sekä 24 lämmityspistoketolppaa. Rakennusoikeutta tontilla on jäljellä n. 1400m²
Kiinteistö on hyväkuntoinen ja soveltuu monenlaiseen toimintaan, kuten konepajatoimintaan. Tuotantotilan vapaa korkeus on n. 7 m. Siltanosturin nostokorkeus n. 5m.
Kiinteistövero: 1520 €/vuosi
Öljyn kulutus n. 9500–12000 l/vuosi
Likasäiliön tyhjennys n. 150€/kerta
Etäisyyksiä:
Oulu n. 130 km, Kajaani n.90 km, Iisalmi n. 90 km, Raahe n. 100 km, Kokkola n. 160 km,
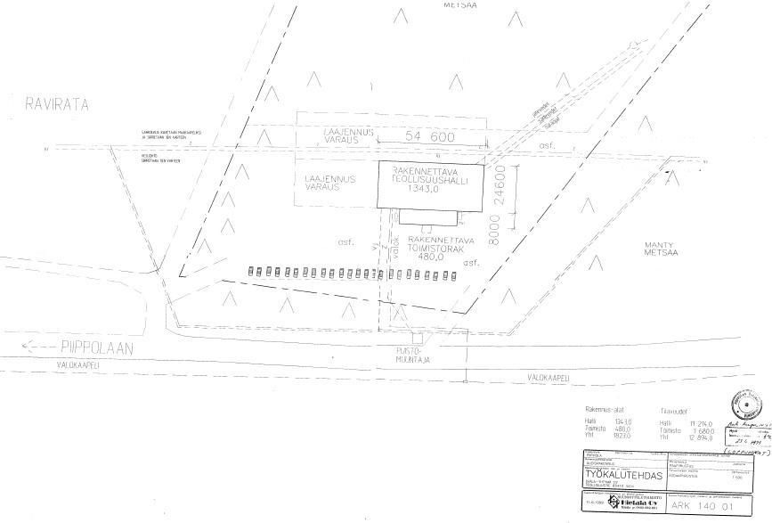
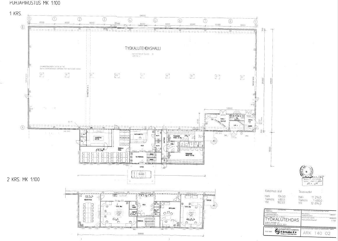
5,4028 ha tontilla on vuonna 2000 valmistunut Ojala-Yhtymän työvälinetehtaaksi rakennettu 1823 m² teollisuushalli. Rakennuksen ympärillä on iso asfaltoitu piha-alue.
Konepajateollisuuden käyttöön suunnitellussa hallissa lattiarakenteet kestävät raskaankin kaluston käytön. 88-tien vieressä sijaitseva halli on betonirunkoinen ja hallissa oleva Konecranes 10 t siltanosturi kuuluu kauppaan.
Tämä nykyaikainen rakennus sisältää tuotanto-, sosiaali- ja varastotiloja sekä työmaaruokalan 1. kerroksessa ja näyttäviä toimisto- ym. aputiloja 2. kerroksessa. Pihalla on toimiston puolella runsaasti parkkipaikkoja sekä 24 lämmityspistoketolppaa. Rakennusoikeutta tontilla on jäljellä n. 1400m²
Kiinteistö on hyväkuntoinen ja soveltuu monenlaiseen toimintaan, kuten konepajatoimintaan. Tuotantotilan vapaa korkeus on n. 7 m. Siltanosturin nostokorkeus n. 5m.
Kiinteistövero: 1520 €/vuosi
Öljyn kulutus n. 9500–12000 l/vuosi
Likasäiliön tyhjennys n. 150€/kerta
Etäisyyksiä:
Oulu n. 130 km, Kajaani n.90 km, Iisalmi n. 90 km, Raahe n. 100 km, Kokkola n. 160 km,
Vapautuu
Kysy
Ota yhteyttä
Logistila Oy
Kiilakiventie 1, 90250 OULU
Sami Karppinen
Näytä puhelinnumero
+358401994722
Pyydä lisätietoa
