Vuokrataan tuotantotilat, varastotilat - Espoo
Koskelonkuja 1, Koskelo, 02920 Espoo #10856157
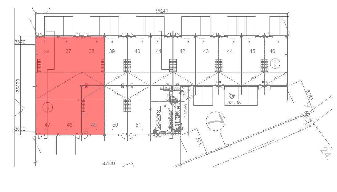
Toimitilat Espoo – vuokrataan tuotanto-/varastotila 587 m²
Vuokrattavana 587 m² tuotanto- ja varastotila Espoossa. Vapautumassa monipuolinen ja toimiva kokonaisuus (tilat 36, 37, 38, 47, 48 ja 49), joka soveltuu erinomaisesti varastointiin, tuotantoon tai huoltotoimintaan.
Tila on sisäänajettava, mikä mahdollistaa sujuvan tavaraliikenteen ja helpottaa materiaalien käsittelyä.
Tuotantotilan yhteydessä sijaitsee toisen kerroksen toimistoparvi, jossa on:
oma keittiö
suihku
wc-tilat
Tilojen varustelu
Oma nosto-ovi
Öljynerotuskaivo
Voimavirtapiste
Vesipiste
Tila soveltuu hyvin es
Osoite
Koskelonkuja 1, 02920 Espoo
Tilatyyppi
Tuotantotilaa
580 m2
Varastotilaa
580 m2
Yhteensä
1160 m2
Pysäköinti
Parkkitilaa on rajoitetusti kohteella 2-3 kpl per tila
Vapautuu
1.4.2026
Kerros
1.-2.
Ota yhteyttä
Pyydä lisätietoa
