Vuokrataan tuotantotilat, varastotilat, autotalli/-hallitilat - Helsinki
Kivikonlaita 22, Kivikko, 00940 Helsinki #10840622
Varastotila vuokrattavana Kivikossa! Kuukausivuokra 849 €/kk + alv
Osoite
Kivikonlaita 22, 00940 Helsinki
Tilatyyppi
Tuotantotilaa
67 m2
Varastotilaa
67 m2
Autotalli/-hallitilaa
67 m2
Yhteensä
67 m2
Virtuaaliesittely
Vuokra
849 €/kk + alv
Muuta
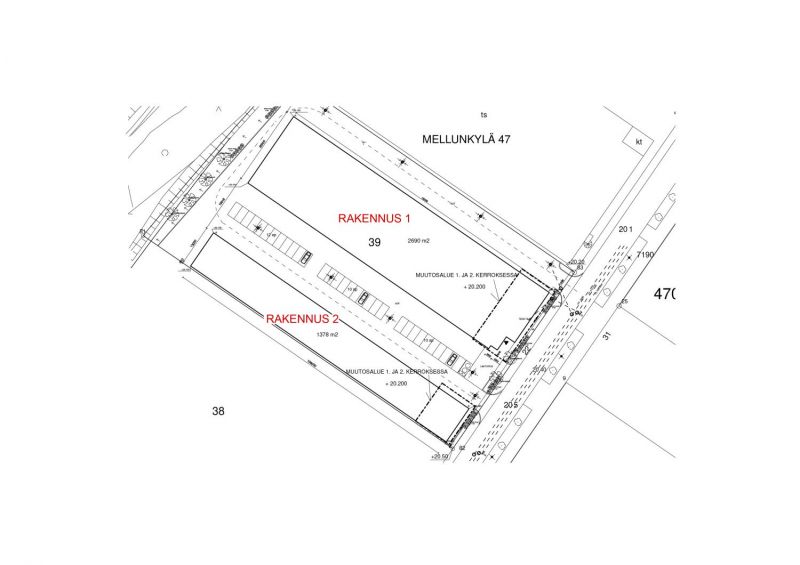
Helsingin Kivikossa on vuokrattavana hyvä varastotila. Asfaltoidussa pihassa on kaksi rakennusta. Vuokrattava tila (hallilohko 52) on rakennuksessa 2.
Tila ei sovellu autopesulaksi eikä -korjaamoksi!
Suorakaiteen mallisessa hallitilassa on käyntiovellinen nosto-ovi, lattiakaivo hiekan ja öljyn erotuksella, WC, vesipiste sekä ilmalämpöpumppu. Vapaa korkeus hallissa on noin 5,5 metriä ja ovikorkeus noin 4,5 metriä. Hallin leveys on noin 5,4 metriä ja syvyys noin 12,4 metriä.
Lämmitysmuotona on suora sähkölämmitys. Hallissa on tilakohtainen sähkö- ja vesimittaus.
Rakennukset sijaitsevat Helsingin kaupungin vuokratontilla. Tontin kokonaispinta-ala on 8’136 m². Asfaltoitu piha-alue.
Tilat vuokrataan arvonlisäverolliseen käyttöön ja tilat sopivat monenlaisille yrityksille!
Siisti hallitila aivan Lahdentien varressa!
Kohdetiedot
Sijainti
Katuosoite: Kivikonlaita 22¸ 00940 Helsinki
Kaupunginosa: Kivikonlaita
Ympäristö: Teollisuusalue (Kaavamerkintä T)
Rakennus/huoneisto
Pinta-alat: Noin 67 m²
Rakennustyyppi: Hallirakennus
Rakennusvuosi: 2021
Energiatodistus: B2018
Käyttötarkoitus: Varastotila
Kunto, varusteet ja palvelut: Hyväkuntoinen tila, käyntiovellinen nosto-ovi, lattiakaivo, wc ja vesipiste sekä ilmalämpöpumppu
Lämmitys: Suora sähkölämmitys
Pysäköinti: Pihassa
Vapautuu: Heti vapaa
Vuokrahinta ja kulut
Kuukausivuokra: 849 €/kk + alv
Vesimaksu: Mittauksen mukaan
Jätehuolto: Vuokralainen vastaa järjestelyistä ja kuluista
Sähkömaksu: Mittauksen mukaan vuokralaisen omalla kustannuksella
Muut ehdot: Minimisopimuskausi 12 kk, vakuus 3 kk:n vuokraa vastaava summa, luottotietojen on oltava kunnossa
Tila ei sovellu autopesulaksi eikä -korjaamoksi!
Suorakaiteen mallisessa hallitilassa on käyntiovellinen nosto-ovi, lattiakaivo hiekan ja öljyn erotuksella, WC, vesipiste sekä ilmalämpöpumppu. Vapaa korkeus hallissa on noin 5,5 metriä ja ovikorkeus noin 4,5 metriä. Hallin leveys on noin 5,4 metriä ja syvyys noin 12,4 metriä.
Lämmitysmuotona on suora sähkölämmitys. Hallissa on tilakohtainen sähkö- ja vesimittaus.
Rakennukset sijaitsevat Helsingin kaupungin vuokratontilla. Tontin kokonaispinta-ala on 8’136 m². Asfaltoitu piha-alue.
Tilat vuokrataan arvonlisäverolliseen käyttöön ja tilat sopivat monenlaisille yrityksille!
Siisti hallitila aivan Lahdentien varressa!
Kohdetiedot
Sijainti
Katuosoite: Kivikonlaita 22¸ 00940 Helsinki
Kaupunginosa: Kivikonlaita
Ympäristö: Teollisuusalue (Kaavamerkintä T)
Rakennus/huoneisto
Pinta-alat: Noin 67 m²
Rakennustyyppi: Hallirakennus
Rakennusvuosi: 2021
Energiatodistus: B2018
Käyttötarkoitus: Varastotila
Kunto, varusteet ja palvelut: Hyväkuntoinen tila, käyntiovellinen nosto-ovi, lattiakaivo, wc ja vesipiste sekä ilmalämpöpumppu
Lämmitys: Suora sähkölämmitys
Pysäköinti: Pihassa
Vapautuu: Heti vapaa
Vuokrahinta ja kulut
Kuukausivuokra: 849 €/kk + alv
Vesimaksu: Mittauksen mukaan
Jätehuolto: Vuokralainen vastaa järjestelyistä ja kuluista
Sähkömaksu: Mittauksen mukaan vuokralaisen omalla kustannuksella
Muut ehdot: Minimisopimuskausi 12 kk, vakuus 3 kk:n vuokraa vastaava summa, luottotietojen on oltava kunnossa
Vapautuu
Heti
Katutasossa
Näkyvällä paikalla
Ota yhteyttä
Tilat.fi
KTM, LKV Antti Soivio
Näytä puhelinnumero
0400 446 553
OTM, LKV Riikka Tuominen
Näytä puhelinnumero
0400 551 790
KTM, LKV Maria-Sofia Puhakka
Näytä puhelinnumero
0400-150330
HTM, LKV Aleksandra Riki
Näytä puhelinnumero
0400-211288
LKV Tilat.fi Oy on toimitilojen välitykseen erikoistunut yritys.
http://www.tilat.fiPyydä lisätietoa
