Vuokrataan tuotantotilat, varastotilat, työtilat, autotalli/-hallitilat - Helsinki
Kivikonlaita 22, Kivikko, 00940 Helsinki #10833803
Varastotila vuokrattavana Kivikossa! Vuokra 849 €/kk + alv (yrityskäyttöön)
Osoite
Kivikonlaita 22, 00940 Helsinki
Tilatyyppi
Tuotantotilaa
68 m2
Varastotilaa
68 m2
Työtilaa
68 m2
Autotalli/-hallitilaa
68 m2
Yhteensä
68 m2
Virtuaaliesittely
Vuokra
849 €/kk + alv
Muuta
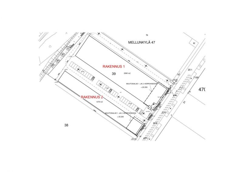
Helsingin Kivikossa on vuokrattavana hyvä varastotila. Asfaltoidussa pihassa on kaksi rakennusta. Tarjolla oleva tila (hallilohko 3) on rakennuksessa 1.
Tila ei sovellu autopesulaksi eikä -korjaamoksi!
Suorakaiteen mallisessa hallitilassa on käyntiovellinen nosto-ovi, lattiakaivo hiekan ja öljyn erotuksella ja vesipiste. Vapaa korkeus hallissa on noin 5,5 metriä ja ovikorkeus noin 4,5 metriä. Hallin leveys on noin 5,4 metriä ja syvyys noin 12,4 metriä.
Lämmitysmuotona on suora sähkölämmitys. Hallissa on tilakohtainen sähkö- ja vesimittaus.
Rakennukset sijaitsevat Helsingin kaupungin vuokratontilla. Tontin kokonaispinta-ala on 8’136 m². Asfaltoitu piha-alue.
Tila vuokrataan arvonlisäverolliseen käyttöön ja tilat sopivat monenlaisille yrityksille!
Siisti hallitila aivan Lahdentien varressa!
Kohdetiedot
Sijainti
Katuosoite: Kivikonlaita 22¸ 00940 Helsinki
Kaupunginosa: Kivikonlaita
Ympäristö: Teollisuusalue (Kaavamerkintä T)
Tontti
Pinta-ala: 8’136m²
Omistusmuoto: Helsingin kaupungin vuokratontti
Rakennus/huoneisto
Pinta-alat: Noin 68 m²
Huoneistoselitelmä: Hallitila
Huoneistotyyppi/Käyttötarkoitus: Varastotila
Kunto, varusteet ja palvelut: Uudehko tila, käyntiovellinen nosto-ovi, lattiakaivo ja vesipiste
Lämmitys: Suora sähkölämmitys
Pysäköinti: Pihassa
Vapautuu: Heti vapaa
Vuokrahinta ja kulut
Kuukausivuokra: 849 €/kk + alv
Vesimaksu: Mittauksen mukaan
Sähkömaksu: Mittauksen mukaan vuokralaisen omalla kustannuksella
Muut ehdot: Minimisopimuskausi 12 kk, vakuus 2 kk:n vuokraa vastaava summa, luottotietojen on oltava kunnossa
Tila ei sovellu autopesulaksi eikä -korjaamoksi!
Suorakaiteen mallisessa hallitilassa on käyntiovellinen nosto-ovi, lattiakaivo hiekan ja öljyn erotuksella ja vesipiste. Vapaa korkeus hallissa on noin 5,5 metriä ja ovikorkeus noin 4,5 metriä. Hallin leveys on noin 5,4 metriä ja syvyys noin 12,4 metriä.
Lämmitysmuotona on suora sähkölämmitys. Hallissa on tilakohtainen sähkö- ja vesimittaus.
Rakennukset sijaitsevat Helsingin kaupungin vuokratontilla. Tontin kokonaispinta-ala on 8’136 m². Asfaltoitu piha-alue.
Tila vuokrataan arvonlisäverolliseen käyttöön ja tilat sopivat monenlaisille yrityksille!
Siisti hallitila aivan Lahdentien varressa!
Kohdetiedot
Sijainti
Katuosoite: Kivikonlaita 22¸ 00940 Helsinki
Kaupunginosa: Kivikonlaita
Ympäristö: Teollisuusalue (Kaavamerkintä T)
Tontti
Pinta-ala: 8’136m²
Omistusmuoto: Helsingin kaupungin vuokratontti
Rakennus/huoneisto
Pinta-alat: Noin 68 m²
Huoneistoselitelmä: Hallitila
Huoneistotyyppi/Käyttötarkoitus: Varastotila
Kunto, varusteet ja palvelut: Uudehko tila, käyntiovellinen nosto-ovi, lattiakaivo ja vesipiste
Lämmitys: Suora sähkölämmitys
Pysäköinti: Pihassa
Vapautuu: Heti vapaa
Vuokrahinta ja kulut
Kuukausivuokra: 849 €/kk + alv
Vesimaksu: Mittauksen mukaan
Sähkömaksu: Mittauksen mukaan vuokralaisen omalla kustannuksella
Muut ehdot: Minimisopimuskausi 12 kk, vakuus 2 kk:n vuokraa vastaava summa, luottotietojen on oltava kunnossa
Vapautuu
Heti
Kerros
1 / 1
Katutasossa
Näkyvällä paikalla
Ota yhteyttä
Tilat.fi
KTM, LKV Antti Soivio
Näytä puhelinnumero
0400 446 553
OTM, LKV Riikka Tuominen
Näytä puhelinnumero
0400 551 790
KTM, LKV Maria-Sofia Puhakka
Näytä puhelinnumero
0400-150330
MBA Susanne Wallenius
Näytä puhelinnumero
0400-128877
Tilat.fi Oy on toimitilojen välitykseen erikoistunut yritys.
http://www.tilat.fiPyydä lisätietoa
