Vuokrataan tuotantotilat - Espoo
Koskelonkuja 1, Koskelo, 02920 Espoo #10832038
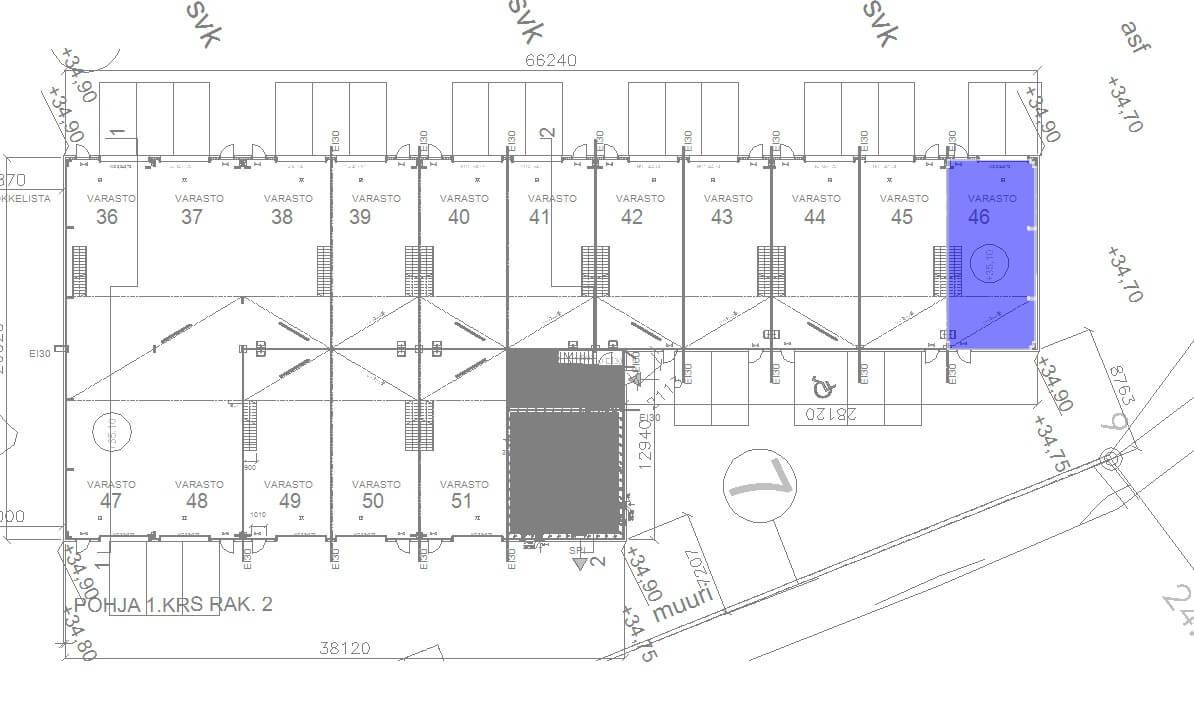
Vuokrattavana sisään ajettava yksittäinen tuotanto-/työtila. Tuotantotilan yhteydessä on kätevä toisen kerroksen toimistoparvi, jossa sijaitsevat myös oma keittiö sekä suihku- ja wc-tila.
Tilassa on nosto-ovi, öljynerotuskaivo, voimavirtapiste.
Osoite
Koskelonkuja 1, 02920 Espoo
Tilatyyppi
Tuotantotilaa
97,5 m2
Kiinteistö
Toimitilat Espoo
vuokrataan tuotantotila 97,5 m²
Vuokrattavana sisään ajettava yksittäinen tuotanto-/työtila B-talossa. Tuotantotilan yhteydessä on kätevä toisen kerroksen toimistoparvi, jossa sijaitsevat myös oma keittiö sekä suihku- ja wc-tila.
Tilassa on oma nosto-ovi, öljynerotuskaivo, voimavirtapiste sekä vesipiste.
vuokrataan tuotantotila 97,5 m²
Vuokrattavana sisään ajettava yksittäinen tuotanto-/työtila B-talossa. Tuotantotilan yhteydessä on kätevä toisen kerroksen toimistoparvi, jossa sijaitsevat myös oma keittiö sekä suihku- ja wc-tila.
Tilassa on oma nosto-ovi, öljynerotuskaivo, voimavirtapiste sekä vesipiste.
Vapautuu
Kysy
Rakennusvuosi
2017
Ota yhteyttä
Sagax Finland
Aleksanterinkatu
Näytä puhelinnumero
19 00100
HELSINKI
Näytä puhelinnumero
010 3200 320
Pyydä lisätietoa
